En vedette
Dernières nouvelles
Au Maroc, les sauveteurs entrent dans le tunnel pour extraire Rayan
Les secouristes sont entrés samedi après-midi dans le tunnel qui conduit à la poche où se trouve le petit Rayan, 5 ans, qu'ils espèrent retrouver vivant cinq jours après sa chute dans un puits profond au Maroc.
Au Maroc, les sauveteurs tentent le tout pour le tout pour sauver le petit Rayan
Chants et prières de la foule accompagnent samedi les derniers efforts des secouristes marocains qui tentent le tout pour le tout pour sauver le petit Rayan, un enfant de cinq ans tombé dans un puits profond, il y a cinq jours, qu'ils espèrent toujours retrouver vivant.
La vaccination anti-Covid pour tous, désormais une réalité en Autriche
C'est officiel: les Autrichiens de plus de 18 ans doivent dorénavant se faire vacciner contre le Covid-19 sous peine d'encourir une forte amende, une mesure sans précédent dans l'Union européenne.
Covid: la vaccination pour tous, désormais une réalité en Autriche
C'est officiel: les Autrichiens de plus de 18 ans doivent à partir de samedi se faire vacciner contre le Covid-19, sous peine d'encourir une forte amende, une mesure sans précédent dans l'Union européenne.
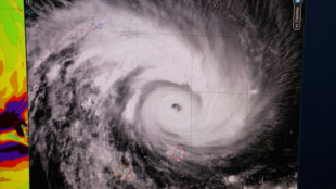
Le cyclone Batsirai, "menace très sérieuse", approche de Madagascar
"Menace très sérieuse pour la zone", le cyclone Batsirai devrait atteindre l'est de Madagascar samedi, avec des vents annoncés à plus de 200 km/h sur la grande île de l'Océan indien où les habitants se préparent à son arrivée avec les moyens du bord.
Assassinat du président haïtien: le Colombien inculpé aux Etats-Unis plaide non-coupable (avocat)
Le militaire colombien à la retraite inculpé aux Etats-Unis pour sa participation présumée à l'assassinat du président haïtien , a plaidé non coupable des crimes qui lui sont reprochés, a annoncé son avocat vendredi à Miami.
Valeurs actuelles et Causeur jugés pour diffamation envers le réalisateur Ladj Ly
Les magazines Causeur et Valeurs Actuelles ont-ils diffamé le cinéaste Ladj Ly ? Le tribunal judiciaire de Paris a examiné la question vendredi sans la présence à la barre du réalisateur des "Misérables".
Inondations à Quito : le bilan s'alourdit à 27 morts et 53 blessés
Les inondations qui ont frappé Quito en début de semaine ont fait au moins 27 morts et 53 blessés, ont annoncé vendredi les autorités qui recherchaient encore deux personnes portées disparues.
Le procès Lelandais se penche sur les agressions sexuelles de petites-cousines
"Dégoût et colère": le procès aux assises de Nordahl Lelandais aborde vendredi le volet des agressions sexuelles de deux petites-cousines de l'accusé avec le témoignage des parents d'une des victimes.
Reportage sur l'islamisme: vague de soutiens après les menaces contre la journaliste Ophélie Meunier
Au nom de la liberté d'informer et sept ans après l'attentat contre Charlie Hebdo, de nombreux médias et associations de journalistes ont soutenu cette semaine l'animatrice de "Zone interdite" Ophélie Meunier, sous protection policière après des menaces pour un reportage sur l'islamisme.
Cambriolages: Haouas pilier du XV de France de rugby solde un passé difficile
Titulaire quasi indiscutable avec l'équipe de France de rugby, Mohamed Haouas, 27 ans, a été condamné vendredi à 18 mois de prison avec sursis pour son implication dans des cambriolages il y a huit ans. Un passé difficile qu'il a donc enfin soldé.
Maroc: 4e jour d'opérations pour sauver un garçon tombé dans un puits
Les secouristes s'activent vendredi, pour le quatrième jour consécutif, dans l'espoir d'extraire vivant le petit Rayan, un garçonnet de cinq ans tombé dans un puits profond d'un village au Maroc et dont le sort suscite une vague de solidarité à travers le royaume.
Russie: une journaliste spécialiste de la Tchétchénie quitte le pays
Une journaliste du journal indépendant Novaïa Gazeta, spécialiste de la Tchétchénie, a quitté la Russie après des menaces émises par le dirigeant de cette république du Caucase russe, en pleine controverse, a annoncé son média vendredi.
Au Maroc, l'opération pour sauver le petit Rayan se poursuit
Les secouristes s'activent vendredi, pour le quatrième jour consécutif, dans l'espoir d'extraire vivant le petit Rayan, un garçonnet de cinq ans tombé dans un puits profond d'un village du nord du Maroc, le royaume retenant son souffle.
Cyclone Batsirai: un navire s'échoue à la Réunion, les marins récupérés
Les marins du pétrolier mauricien échoué près des côtes de l'île de la Réunion, dans l'océan Indien, ont été ramenés à terre dans la nuit de jeudi à vendredi, a annoncé la Préfecture, au moment où la région est balayée par le cyclone Batsirai.
Cyclone Batsirai: les marins d'un navire s'échoue à La Réunion, récupérés
Les marins du pétrolier mauricien échoué près des côtes de l'île de la Réunion, dans l'océan Indien, ont été ramenés à terre dans la nuit de jeudi à vendredi, a annoncé la Préfecture, au moment où la région est balayée par le cyclone Batsirai.
Cocaïne meurtrière: le bilan grimpe à 22 morts, mais situation "stabilisée"
Les autorités argentines estimaient jeudi la situation "stabilisée" après avoir récupéré une grande partie de la cocaïne frelatée qui a tué au moins 22 personnes près de Buenos Aires et a jeté une lumière crue sur l'ampleur du problème de la drogue dans le pays.
Un navire s'échoue à La Réunion, toujours balayée par le cyclone Batsirai
Un pétrolier mauricien s'est échoué jeudi soir tout près des côtes de l'île de la Réunion, dans l'océan Indien, balayée depuis plus de vingt-quatre heures par le puissant cyclone Batsirai dont les autorités anticipent une intensification des vents et des pluies.
Un pétrolier s'échoue à La Réunion, toujours balayée par le cyclone Batsirai
Un pétrolier mauricien s'est échoué jeudi soir tout près des côtes de l'île de la Réunion, dans l'océan Indien, balayée depuis plus de vingt-quatre heures par le puissant cyclone Batsirai dont les autorités anticipent une intensification des vents et des pluies.
Procès Wendel: l'avocat d'Ernest-Antoine Seillière réclame sa relaxe
Dénonçant des réquisitions d'une "immense violence", l'avocat de l'ancien président du Medef Ernest-Antoine Seillière a réclamé la relaxe jeudi soir, au procès pour fraude fiscale des anciens dirigeants et cadres de la société d'investissement Wendel.
Biden, à la peine sur la lutte contre la criminalité, en visite à New York
Joe Biden est en visite jeudi à New York, meurtrie par une vague de violences par arme à feu, afin d'assurer aux Américains qu'il prend au sérieux la hausse de la criminalité dans le pays, un sujet politiquement miné pour le président américain.
Gérard Depardieu conteste sa mise en examen pour "viols" : décision le 10 mars
La cour d'appel de Paris rendra le 10 mars sa décision sur la demande de l'acteur Gérard Depardieu d'annuler sa mise en examen pour "viols" et "agressions sexuelles" sur la comédienne Charlotte Arnould, des faits allégués datant d'août 2018, a indiqué jeudi à l'AFP une source judiciaire.
Au Burkina, "cowboys" et "jockeys" entretiennent la passion des chevaux
Lancés au galop sur leurs montures, de frêles jockeys encore adolescents participent à la course hippique hebdomadaire de Ouagadougou: au Burkina Faso, le cheval occupe depuis des siècles une place centrale dans la culture du pays.
Prison en vue pour les époux Balkany après la révocation de leur bracelet électronique
La justice a révoqué jeudi le placement sous bracelet électronique de Patrick et Isabelle Balkany, condamnés pour "fraude fiscale massive", ouvrant la voie à l'incarcération de l'ancien maire LR de Levallois-Perret (Hauts-de-Seine) et de son épouse.
Pour l'auteur d'un livre choc, la "Gomorra espagnole" toujours puissante
En 2015, le journaliste Nacho Carretero faisait sensation en Espagne avec son livre "Fariña" sur le trafic de cocaïne en Galice dans les années 1990. Sept ans plus tard, "les narcotrafiquants sont toujours là et encore plus puissants qu'avant", assure cet auteur à l'AFP.
Le cyclone Batsirai "stationnaire" reste "aux portes" de la Réunion
Le cyclone Batsirai était "stationnaire" jeudi à la mi-journée et restait à 200 km des côtes de la Réunion, île française de l'océan Indien toujours placée en alerte rouge avec un risque de crues en raison des pluies diluviennes.
Biden, à la peine sur les questions de sécurité, se rend à New York
Joe Biden se rend jeudi à New York, meurtrie par une flambée de violence, pour assurer aux Américains qu'il prend au sérieux la hausse de la criminalité dans le pays, un sujet politiquement miné pour le président américain.
Equateur: les secouristes cherchent les victimes des inondations meurtrières à Quito
L'armée, la police et les pompiers équatoriens s'affairaient mercredi pour retrouver des victimes dans la boue et les débris laissés sur un terrain de sport à Quito, frappé par des inondations qui ont fait au moins 25 morts, a constaté l'AFP.
Argentine: une cocaïne frelatée près de Buenos Aires fait 20 mots, 74 hospitalisations
Au moins 20 personnes sont mortes et 74 ont été hospitalisées, en banlieue de Buenos Aires, après une intoxication massive, due à de la cocaïne frelatée, ont annoncé mercredi les autorités.
Cocaïne frelatée près de Buenos Aires: 12 morts, 50 hospitalisations
Au moins 12 personnes sont mortes et une cinquantaine ont été hospitalisées, en banlieue de Buenos Aires, après avoir consommé de la cocaïne frelatée, ont annoncé mercredi les autorités, lançant une mise en garde urgente a qui a acheté de la drogue ces "dernières 24 heures"
La vie en détention de Lelandais, entre lectures bouddhistes et Facebook
Nordahl Lelandais a évoqué mercredi devant la cour d'assises de l'Isère sa vie en détention où il "lit beaucoup l'enseignement du Dharma", reconnaissant s'être récemment procuré un téléphone portable lui permettant d'accéder à Facebook.
Colombie: contre leur Eglise, l'enquête de deux fidèles sur un réseau pédophile
Elles enquêtaient à la demande de leur évêque et ce qu'elles ont découvert a dépassé leur "imagination". En Colombie, deux fidèles ont mis au jour un réseau pédophile au sein de l'Eglise, impliquant une quarantaine de prêtres et ayant fait au moins 20 victimes.